News

Zedra - fit und fröhlich

Eine Geschichte wie Zedra, eine 10-jährige braun-weiße Mischlingsdame, hat bei Weitem nicht jeder zu erzählen: 

Zedra kam aus dem Auslandtierschutz zu ihren Besitzern und was sofort auffiel: Zedra lief unrund. Ihr rechtes Hinterbein wollte nicht so, wie das linke.  

Wenn die Natur Wege findet

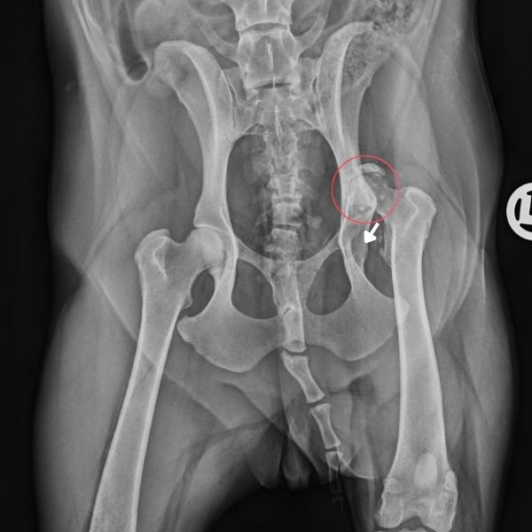
Eine Röntgenaufnahme zeigt, was bei Zedra für den unrunden Gang sorgt:

Zu Beginn war ihre rechte Hüfte luxiert. Das bedeutet, dass der Gelenkkopf des Oberschenkels nicht mehr korrekt in der Gelenkpfanne saß. Im Laufe der Zeit hat der Körper auf diese Fehlstellung reagiert: Der Oberschenkelkopf ist nicht einfach nur „rausgerutscht“, sondern seitlich an der Hüfte festgewachsen. Dadurch hat sich dort ein sogenanntes Pseudogelenk gebildet – also eine Art Ersatzgelenk, das der Körper selbst geschaffen hat, um mit der Situation irgendwie zurechtzukommen.

Das klingt zunächst erstaunlich, ist für den Körper aber keine ideale Lösung. Zwar kann Zedra sich damit weiterhin auf vier Beinen fortbewegen, doch ihre Beweglichkeit ist deutlich eingeschränkt und jede Bewegung läuft unter völlig anderen Voraussetzungen ab als bei einer gesunden Hüfte.

Hinzu kam, dass Zedra zu Beginn übergewichtig war und 18 Kilogramm wog. Gerade bei einer bereits massiv veränderten Hüftsituation bedeutet jedes zusätzliche Kilo eine noch größere Belastung für Gelenke, Muskeln und den gesamten Bewegungsapparat. Der Körper muss noch stärker ausgleichen – und genau das sieht man ihr auch an.

Denn nicht nur die Hüfte selbst ist betroffen: Der restliche Körper kompensiert diese Fehlbelastung dauerhaft mit. Zedra kann ihren Schwanz nicht höher als waagerecht heben, die Rücken- und Hinterbeinmuskulatur ist fest und verspannt. Sie steht oder liegt am liebsten, Sitzen mag sie nicht. Zuhause verlässt sie kaum ihr Körbchen, weil selbst normale Alltagsbewegungen für sie anstrengend oder unangenehm sind.

Das ist ein Zustand, den Zedras Menschen so nicht stehen lassen wollten. Sie wünschen sich für sie nicht nur irgendwie ein Leben auf vier Beinen, sondern ein fröhliches, möglichst schmerzarmes und lebenswertes Leben. Also ging es für Zedra in die Physiotherapie.

Röntgenbild von Zedras Hüfte. Zu sehen ist auf der rechten Seite, dass der Gelenkkopf des Oberschenkels nicht mehr in der Gelenkpfanne sitzt. Er ist an der Seite der Hüfte angewachsen.

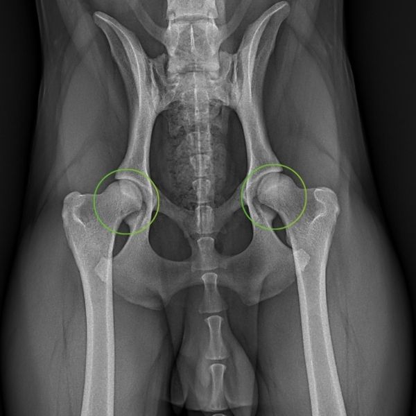
Zum Vergleich ein Röntgenbild einer gesunden Hüfte. Die Oberschenkelköpfe liegen in den Gelenkpfannen. Es ist keine Einschränkung erkennbar.

Zedras Physiotherapie

Zedras Muskulatur der Wirbelsäule und die Sitzbeinmuskulatur wurden gelockert. Es schien, als hätte sie darauf nur gewartet. Meist ist es schmerzhaft, eine verspannte Muskulatur zu massieren (Menschen mit Nackenschmerzen werden wissen, wie es ist, wenn jemand dort feste hineingreift). Doch trotz dessen hat die Mischlingsdame die Massage bis in die Tiefe zugelassen und ist sogar dabei eingedöst. 

 

 

Mit einigen Behandlungen und etwas Zeit sprach Zedra gut auf die Therapie an: Die Muskeln wurden weicher und Zedra wurde aktiver, ist besser vom Liegen ins Stehen gewechselt, setzte sich auch ab und zu hin und kam auch zuhause aus ihrem Körbchen heraus! 

 

 

Um den Muskelaufbau weiter zu fördern, probierte Zedra einige Male das Unterwasserlaufband aus. So ganz konnte sie sich damit aber nicht anfreunden und wir suchten eine andere Möglichkeit des Krafttrainings für sie. 

 

Zedra vor dem Start ihrer Behandlung – 18kg.

Zedra nach ca. einem Jahr Physiotherapie & Seniorenfitness – 15,5kg.

Zedras Gamechanger

Der Muskelaufbau mit dem Unterwasserlaufband wollte nicht so recht gelingen. Aber die Übungen im Trainingsraum machten Zedra Freude und zeigten Wirkung! Mit Balancepads, Wackelkissen und Sitz-Steh-Erhöhungen wurde sie immer stärker und agiler!

Um diesen Effekt zu fördern, nahm Zedra teil im Hundefitnesskurs für Senioren und geht im März in ihre zweite Runde! 

Die positiven Veränderungen in der Muskulatur sind deutlich zu sehen und Zedra anzumerken: Der Rücken ist wieder flexibel und stark. Sie steht nun schneller auf und legt sich auf ihre andere Seite. Ihr Körper ist stabiler und nicht mehr in starken, schmerzhaften Verspannungen gefangen. Er kann nun wieder laufen, springen und sich koordiniert bewegen!

Es ist toll zu sehen, wie Zedra mit Therapie, Hundefitness und Fürsorge aufblüht!

Aus ihr ist wieder ein fröhlicher und bewegungsfreudiger Hund geworden!

⭐️ Was passiert im Hundefitness für Senioren?

Der Seniorenkurs Hundefitness richtet sich speziell an Hunde ab ca. 7 – 10 Jahren, je nach Größe, die im Alltag Unsicherheiten zeigen: Sie stehen nicht mehr auf, um Herrchen oder Frauchen an der Tür zu begrüßen. Sie brauchen etwas Zeit, um sich einzulaufen oder rutschen mit den Hinterbeinen weg. Ihr Körper ist steifer und wirkt wackeliger. Eventuell haben sie Vorerkrankungenm wie Arthrose, Spondylose oder Rückenprobleme.

Speziell für diese älteren Hunde ist der Seniorenkurs da. Er hat zum Ziel, unsere älteren Hunde sicherer und stabiler im Alltag zu bekommen, und ihnen weiterhin zu Freude an der Bewegung zu verhelfen.

Hundefitness für Senioren ist individuell auf die Bedürfnisse älterer Hunde ausgelegt. Trainiert wird gelenkschonend, die Steigerungen erfolgen langsam und mit viel Rücksicht auf die Tagesform – immer unter Anleitung unserer ausgebildeten Hundephysiotherapeutin Marie.

In jeder Kursstunde werden sanfte Aufwärmübungen gemacht und die wichtigsten Muskelgruppen gekräftigt, um unseren älteren Hunden sicheres Stehen, kontrolliertes Aufstehen und Rumpfstabilität für den Alltag zu ermöglichen.

Zedras Geschichte zeigt eindrucksvoll, wie viel Lebensqualität gezieltes Training zurückbringen kann. 

Doch nicht nur Senioren profitieren davon! 

Ob zur Prävention, nach Verletzungen oder einfach für mehr gemeinsame Action: 

 

Ein starker Körper tut jedem Hund gut.

Eure Expertin für Seniorenfitness

Marie Pahnke

Marie ist Tierphysiotherapeutin mit medizinischem Hintergrund und spezialisiert auf schonendes Training älterer Hunde. Durch ihre Erfahrung in manueller Therapie, Diagnostik und Hydrotherapie gestaltet sie den Seniorenkurs sicher, sanft und wirkungsvoll.

⭐️ Kurseinblicke

Du willst keine Kurse mehr verpassen?

Trage Dich hier ein für den kostenlosen Newsletter von Die Tierphysio Krefeld

Zufriedenheitsumfrage

Hilfst du uns kurz mit Feedback? 💛

Wenn du in letzter Zeit bei uns in der Praxis warst: Nimm dir bitte 5 Minuten für unsere Zufriedenheitsumfrage. Dein Feedback hilft uns, noch besser zu werden.


Gewinnspiel: Unter allen Teilnehmenden verlosen wir 3× 30 € Kursgutscheine (gültig bis 30.06.2026, nicht auszahlbar).